Квартал Б

Утверждено постановлением администрации города Нижневартовска от 23.12.2021 №1013 "Об утверждении проекта планировки территории и проекта межевания территории квартала "Б" города Нижневартовска"

  1. Пояснительная записка
    (PDF, 863.46Кб)

  2. Утверждаемая часть
    (DOC, 277.5Кб)

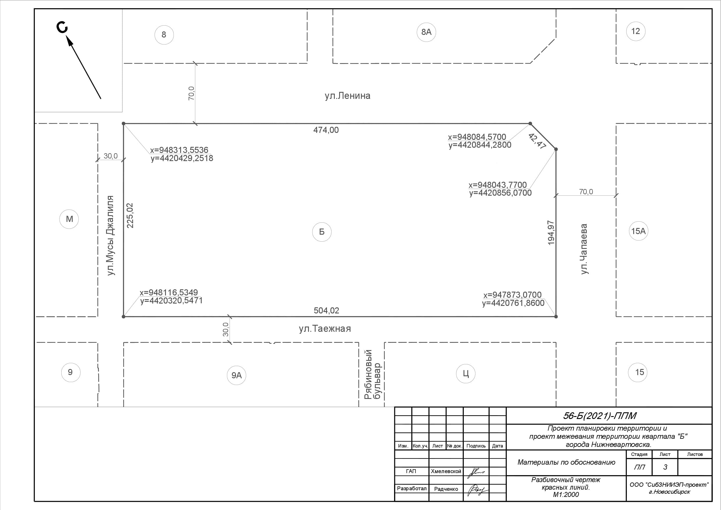
  3. Разбивочный чертеж красных линий
    (JPG, 146.33Кб )

  4. Схема архитектурно-планировочной организации территории
    (JPG, 1.25Мб )

  5. Схема вертикальной планировки территории
    (JPG, 938.54Кб )

  6. Схема использования территории в период подготовки проектов
    (JPG, 1.05Мб )

  7. Схема определения инсоляции
    (JPG, 1.03Мб )

  8. Схема организации транспорта и улично-дорожной сети
    (JPG, 646.83Кб )

  9. Схема размещения инженерных сетей
    (JPG, 1.1Мб )

  10. Схема размещения проектируемой территории
    (JPG, 2.05Мб )

  11. Чертеж межевания территории (I этап)
    (JPG, 925.25Кб )

  12. Чертеж межевания территории (II этап)
    (JPG, 894.91Кб )

  13. Чертеж межевания территории (III этап)
    (JPG, 831.56Кб )

  14. Чертеж межевания территории (IV этап)
    (JPG, 781.87Кб )

  15. Чертеж межевания территории (V этап)
    (JPG, 779.86Кб )

размещено:10.01.2022
обновлено: 11.01.2022 12:20:05
 
Нижневартовск www.n-vartovsk.ru